Chi tiết bài viết
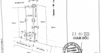
Đất 2 MT hẻm 656/88 Quang Trung, Phường 11, Gò Vấp, Hẻm 6m thông, 7,6x23m, Cn 187,2 m2, 19 tỷ Chốt
Khu vực: Quang Trung, Phường 11, Quận Gò Vấp, TP Hồ Chí Minh
Thông tin chi tiết
Đất 2 MT hẻm 656/88 Quang Trung, Phường 11, Gò Vấp, Hẻm 6m thông, 7,6x23m, Cn 187,2 m2, 19 tỷ Chốt
Tags từ khóa
Bản đồ
Tin thường
Bán đất mặt hẻm
Tây Bắc
19 Tỷ
187.2 m2
m2
7.6m
6m
Đăng Đầy Đủ
Quang Trung, Phường 11, Quận Gò Vấp, TP Hồ Chí Minh
01/02/2026
31/03/2026
Hồng Khanh
Thống Nhất, P16, Gò Vấp
0906956946
0906956946
hongkhanh198429@gmail.com
Tin khác cùng loại (336)
Siêu phẩm nhà đẹp full New chỉ vào ở P11 Gò Vấp
Giá: 6,45 Tỷ
Hướng: Tây
Diện tích công nhận: 55,7m2
Diện tích sàn: 144,7m2
Đường trước nhà: 3m
Sổ hồng: Đăng Đầy Đủ
Ngày đăng: 17.09.2024
View: 2272
Nhà hẻm 656/74/80 Quang Trung, Phường 11, Gò Vấp, Hẻm 3m thông, 4x12m, Cn 48 m2, trệt 3 lầu, ST, 3PN, 3WC, Full nội thất, 5,79 tỷ TL
Giá: 5.79 Tỷ
Hướng: Đông Bắc
Diện tích công nhận: 48m2
Diện tích sàn: 122m2
Đường trước nhà: 3m
Sổ hồng: Đăng Không Đủ
Ngày đăng: 28.09.2024
View: 3188
Nhà MT 364 Đường số 8, Phường 11, Gò Vấp, MT 12m, 4,1 NH 4,2x22m, Cn 90,1 m2, trệt 2 lầu, ST, 5PN, 3WC, 15,85 tỷ TL
Giá: 15.85 Tỷ
Hướng: Tây Nam
Diện tích công nhận: 90m2
Diện tích sàn: 199m2
Đường trước nhà: 12m
Sổ hồng: Đăng Không Đủ
Ngày đăng: 05.12.2025
View: 712
Nhà hẻm 78/21/51 Nguyễn Văn Khối, Phường 11, Gò Vấp, Hẻm 4m, 4x17,5m, Cn 69,5 m2, trệt 3 lầu, ST, 5PN, 5WC, Full nội thất, 10,39 tỷ TL
Giá: 10.39 Tỷ
Hướng: Đông Bắc
Diện tích công nhận: 69.5m2
Diện tích sàn: 218m2
Đường trước nhà: 4m
Sổ hồng: Đăng Đầy Đủ
Ngày đăng: 21.09.2025
View: 1113
Nhà hẻm 91/3 Đường số 1 P11 GV, Dt :4,57*12,85m, trước nhà 3,5m, Ht: trệt, 2 lầu, sân để xe, 3PN, 3WC sân thượng, Full nội thất cao cấp, Giá 6,18ty TL
Giá: 6,18 Tỷ
Hướng: Tây
Diện tích công nhận: 55,7m2
Diện tích sàn: m2
Đường trước nhà: 3,5m
Sổ hồng: Không Đăng Sổ
Ngày đăng: 10.10.2024
View: 1906
Nhà hẻm 653/18 Quang Trung, Phường 11, Gò Vấp, Hẻm 10m thông, 4,2x16m, Cn 67,1 m2, trệt 2 lầu, ST, 3PN, 4WC, 8,3 tỷ TL
Giá: 8.3 Tỷ
Hướng: Đông Nam
Diện tích công nhận: 67m2
Diện tích sàn: 178m2
Đường trước nhà: 8m
Sổ hồng: Đăng Không Đủ
Ngày đăng: 28.08.2024
View: 2434
Nhà hẻm 143/26 Đường số 8, Phường 11, Gò Vấp, Hẻm 3m, 4,02x12m, Cn 48,9 m2, trệt 2 lầu, ST, 4PN, 3WC, 5,35 tỷ TL
Giá: 5.35 Tỷ
Hướng: Tây Bắc
Diện tích công nhận: 48.9m2
Diện tích sàn: 155m2
Đường trước nhà: 3m
Sổ hồng: Đăng Không Đủ
Ngày đăng: 28.08.2024
View: 2993
Nhà hẻm 254/5/75 Lê Văn Thọ, Phường 11, Gò Vấp, Hẻm 4m, 3,5x11m, Cn 34 m2, trệt 2 lầu, ST, 3PN, 3WC, Full nội thất, 4,99 tỷ Chốt
Giá: 4.99 Tỷ
Hướng: Tây Nam
Diện tích công nhận: 34m2
Diện tích sàn: 98.4m2
Đường trước nhà: 4m
Sổ hồng: Đăng Không Đủ
Ngày đăng: 03.06.2023
View: 3312
Nhà hẻm 656/74/137 Quang Trung, Phường 11, Gò Vấp, Hẻm 3,7m thông, 3,55x13m, Cn 47,7 m2, trệt 1 lầu, 2PN, 2WC, 5,6 tỷ TL
Giá: 5.6 Tỷ
Hướng: Nam
Diện tích công nhận: 47.7m2
Diện tích sàn: 77.4m2
Đường trước nhà: 3.7m
Sổ hồng: Đăng Đầy Đủ
Ngày đăng: 05.02.2026
View: 0
Nhà hẻm 254/5/50 Lê Văn Thọ, Phường 11, Gò Vấp, Hẻm 3,5m, 4x14m, Cn 47,6 m2, trệt 2 lầu, ST trước sau, 4PN, 3WC, 8,4 tỷ TL
Giá: 47.6 Tỷ
Hướng: Tây Nam
Diện tích công nhận: 47.6m2
Diện tích sàn: 157m2
Đường trước nhà: 6m
Sổ hồng: Đăng Đầy Đủ
Ngày đăng: 01.02.2026
View: 156


