Chi tiết bài viết
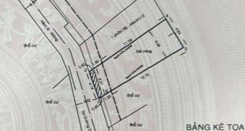
Đất hẻm 496/41/12 Dương Quảng Hàm, Phường 6, Gò Vấp, Hẻm 4m, 4,2 NH 4,8x13,5m, Cn 58,4 m2, 6,7 tỷ TL
Khu vực: Dương Quảng Hàm, Phường 6, Quận Gò Vấp, TP Hồ Chí Minh
Thông tin chi tiết
Đất hẻm 496/41/12 Dương Quảng Hàm, Phường 6, Gò Vấp, Hẻm 4m, 4,2 NH 4,8x13,5m, Cn 58,4 m2, 6,7 tỷ TL
Tags từ khóa
Bản đồ
Tin thường
Bán đất mặt hẻm
Tây Nam
6.7 Tỷ
58.4 m2
m2
4.2m
4m
Đăng Đầy Đủ
Dương Quảng Hàm, Phường 6, Quận Gò Vấp, TP Hồ Chí Minh
15/03/2026
30/04/2026
Hồng Khanh
Thống Nhất, P16, Gò Vấp
0906956946
0906956946
hongkhanh198429@gmail.com
Tin khác cùng loại (22)
Nhà hẻm 14/2 Đường số 30, Phường 6, Gò Vấp, Hẻm 5m, 3,6x16m, Cn 55,5 m2, trệt lửng, 3PN, 3WC, Full nội thất, 6,97 tỷ TL
Giá: 6.97 Tỷ
Hướng: Tây Bắc
Diện tích công nhận: 55.5m2
Diện tích sàn: 69.7m2
Đường trước nhà: 5m
Sổ hồng: Đăng Đầy Đủ
Ngày đăng: 15.03.2026
View: 3
Bán Chdv hẻm 496/25/6 Dương Quảng Hàm, Phường 6, Gò Vấp, Hẻm 4,5m, 13x4,5m, Cn 57,8 m2, trệt lửng 2 lầu, 6PN, 6WC, Khai thác 36tr/tháng, 9,7 tỷ TL
Giá: 9.7 Tỷ
Hướng: Tây Nam
Diện tích công nhận: 57.8m2
Diện tích sàn: 202m2
Đường trước nhà: 4.5m
Sổ hồng: Đăng Đầy Đủ
Ngày đăng: 01.03.2026
View: 358
Bán Chdv MT Nguyễn Văn Dung, Phường 6, Gò Vấp, MT 12m, 4x20m, Cn 80 m2, Hầm 4 lầu, ST trước sau, 14P Full nội thất, Thu nhập 45tr/tháng, 14 tỷ TL
Giá: 14 Tỷ
Hướng: Tây
Diện tích công nhận: 80m2
Diện tích sàn: 399m2
Đường trước nhà: 12m
Sổ hồng: Đăng Đầy Đủ
Ngày đăng: 01.03.2026
View: 562
Nhà hẻm 350/83 Lê Đức Thọ, Phường 6, Gò Vấp, Hẻm 5m, 6,5 NH 5,58x11,8m, Cn 77,1 m2, Cấp 4 lửng, 7,9 tỷ TL
Giá: 7.9 Tỷ
Hướng: Đông Nam
Diện tích công nhận: 77m2
Diện tích sàn: 100m2
Đường trước nhà: 5m
Sổ hồng: Đăng Đầy Đủ
Ngày đăng: 01.03.2026
View: 718
Đất hẻm 496/67 Dương Quảng Hàm, Phường 6, Gò Vấp, Hẻm 10m thông, 18,3x33m, Cn 599 m2, 73 tỷ TL
Giá: 73 Tỷ
Hướng: Đông Nam
Diện tích công nhận: 599m2
Diện tích sàn: m2
Đường trước nhà: 10m
Sổ hồng: Đăng Không Đủ
Ngày đăng: 01.03.2026
View: 560
Nhà MT 494 Dương Quảng Hàm, Phường 6, Gò Vấp, MT 40m, 4x13m, Cn 51,8 m2, trệt 2 lầu, ST, 3PN, 3WC, Full nội thất, 15,8 tỷ TL
Giá: 15.8 Tỷ
Hướng: Tây Nam
Diện tích công nhận: 51.8m2
Diện tích sàn: 135m2
Đường trước nhà: 40m
Sổ hồng: Đăng Không Đủ
Ngày đăng: 01.03.2026
View: 597
Nhà MT 260 262 Lê Đức Thọ, Phường 6, Gò Vấp, MT 25m, 8x25m, trệt 4 lầu, ST, 2 căn, 42 tỷ TL
Giá: 42 Tỷ
Hướng: Tây Nam
Diện tích công nhận: 160m2
Diện tích sàn: 750m2
Đường trước nhà: 25m
Sổ hồng: Đăng Đầy Đủ
Ngày đăng: 01.03.2026
View: 329
Bán Chdv hẻm 183/7 Đường số 28, Phường 6, Gò Vấp, Hẻm 7m thông, 15x23m, Cn 320,9 m2, trệt 2 lầu, 46P, Thu nhập 150tr/tháng, 31,5 tỷ TL
Giá: 31.5 Tỷ
Hướng: Đông Bắc
Diện tích công nhận: 321m2
Diện tích sàn: 701m2
Đường trước nhà: 7m
Sổ hồng: Đăng Đầy Đủ
Ngày đăng: 05.12.2025
View: 614
Nhà 2 MT hẻm 60/26 Đường số 27, Phường 6, Gò Vấp, Hẻm 2,5m, 4x6m, trệt 2 lầu, 2PN, 3WC, Full nội thất, 3,99 tỷ TL
Giá: 3.99 Tỷ
Hướng: Tây Bắc
Diện tích công nhận: 21.3m2
Diện tích sàn: 64m2
Đường trước nhà: 2.5m
Sổ hồng: Đăng Đầy Đủ
Ngày đăng: 05.12.2025
View: 543
Nhà hẻm 141/67 Đường số 28, Phường 6, Gò Vấp, Hẻm 10m thông, 4x20,5m, Cn 81,3 m2, Cấp 4, 9,8 tỷ TL
Giá: 9.8 Tỷ
Hướng: Đông Nam
Diện tích công nhận: 81.3m2
Diện tích sàn: m2
Đường trước nhà: 10m
Sổ hồng: Đăng Đầy Đủ
Ngày đăng: 05.12.2025
View: 621


