Chi tiết bài viết
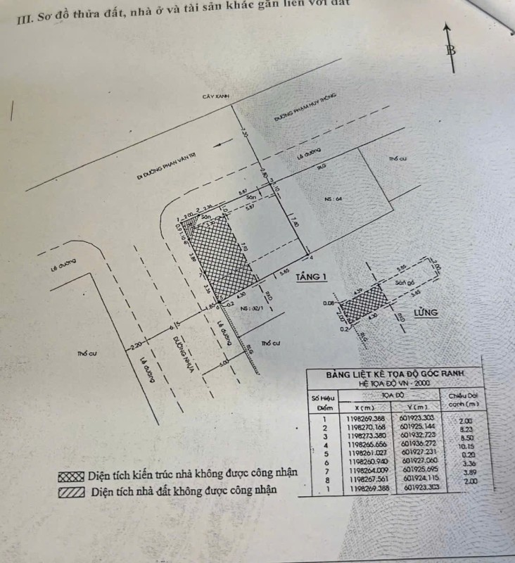
Nhà 2 MT 64A Phạm Huy Thông, Phường 7, Gò Vấp, MT 30m, 10x9m, Cn 88,9 m2, trệt lửng, 23,5 tỷ TL
Khu vực: Phạm Huy Thông, Phường 7, Quận Gò Vấp, TP Hồ Chí Minh
Thông tin chi tiết
Nhà 2 MT 64A Phạm Huy Thông, Phường 7, Gò Vấp, MT 30m, 10x9m, Cn 88,9 m2, trệt lửng, 23,5 tỷ TL
Tags từ khóa
Bản đồ
Tin thường
Bán nhà mặt tiền đường chữ
Tây Bắc
23.5 Tỷ
89 m2
57 m2
10m
30m
Đăng Đầy Đủ
Phạm Huy Thông, Phường 7, Quận Gò Vấp, TP Hồ Chí Minh
01/03/2026
30/04/2026
Hồng Khanh
Thống Nhất, P16, Gò Vấp
0906956946
0906956946
hongkhanh198429@gmail.com
Tin khác cùng loại (15)
Nhà MT 72 Đường số 1, Phường 7, Gò Vấp, Khu Cityland Park Hill, MT 14m, 5x18m, Cn 90 m2, trệt 3 lầu, ST, 19,8 tỷ TL
Giá: 19.8 Tỷ
Hướng: Tây Nam
Diện tích công nhận: 90m2
Diện tích sàn: 299m2
Đường trước nhà: 14m
Sổ hồng: Đăng Không Đủ
Ngày đăng: 09.11.2025
View: 532
Nhà hẻm 54/5 Đường số 7, Phường 7, Gò Vấp, Hẻm 3,5m thông, 4,2x11,2m, Cn 47,6 m2, trệt 3 lầu, ST, 5PN, 4WC, 6,85 tỷ TL
Giá: 6.85 Tỷ
Hướng: Tây Nam
Diện tích công nhận: 47.6m2
Diện tích sàn: 147m2
Đường trước nhà: 3m
Sổ hồng: Đăng Đầy Đủ
Ngày đăng: 07.09.2025
View: 571
Nhà 3 MT hẻm 67/1 Lê Đức Thọ, Phường 7, Gò Vấp, Hẻm 12m thông, 4,5x17m, Hầm lửng 4 lầu, ST, Thu nhập 100tr/tháng, 30 tỷ TL
Giá: 30 Tỷ
Hướng: Tây Bắc
Diện tích công nhận: 67.5m2
Diện tích sàn: 440m2
Đường trước nhà: 12m
Sổ hồng: Đăng Không Đủ
Ngày đăng: 28.04.2026
View: 116
Nhà MT 68 Dương Quảng Hàm, Phường 7, Gò Vấp, MT 40m, 4x22m, Cn 87,2 m2, trệt 2 lầu, 17,2 tỷ TL Lộc
Giá: 17.2 Tỷ
Hướng: Đông Bắc
Diện tích công nhận: 87m2
Diện tích sàn: 161m2
Đường trước nhà: 40m
Sổ hồng: Đăng Đầy Đủ
Ngày đăng: 28.04.2026
View: 515
Nhà MT 308 Nguyễn Văn Nghi, Phường 7, Gò Vấp, MT 20m, 20x50m, Cn 1000 m2, Cấp 4 lửng, 130 tỷ
Giá: 130 Tỷ
Hướng: Bắc
Diện tích công nhận: 1000m2
Diện tích sàn: 478m2
Đường trước nhà: 20m
Sổ hồng: Đăng Đầy Đủ
Ngày đăng: 01.04.2026
View: 93
Nhà MT 207 Đường số 6, Phường 7, Gò Vấp, MT 5,5m, 4,16 NH 4,45x7,2m, Cn 31 m2, trệt 1 lầu, 4,99 tỷ TL
Giá: 4.99 Tỷ
Hướng: Đông Bắc
Diện tích công nhận: 31m2
Diện tích sàn: 50.7m2
Đường trước nhà: 5.5m
Sổ hồng: Đăng Đầy Đủ
Ngày đăng: 26.12.2025
View: 361
Bán nhà 57/38 Lê Đức Thọ, Phường 7, Gò Vấp, Hẻm 16m thông, 5x18m, Cn 90 m2, trệt 1 lửng 4 lầu, 28P, 16,9 tỷ TL
Giá: 16.9 Tỷ
Hướng: Tây Nam
Diện tích công nhận: 90m2
Diện tích sàn: 388m2
Đường trước nhà: 16m
Sổ hồng: Đăng Đầy Đủ
Ngày đăng: 09.12.2025
View: 274
Đất 2 MT 55 Đường số 4, Phường 7, Gò Vấp, MT 12m, 4x17m, Cn 68 m2, 9,8 tỷ TL
Giá: 9.8 Tỷ
Hướng: Đông Nam
Diện tích công nhận: 68m2
Diện tích sàn: m2
Đường trước nhà: 12m
Sổ hồng: Đăng Đầy Đủ
Ngày đăng: 07.12.2025
View: 316
Đất 2 MT 134 Lý Thường Kiệt, Phường 7, Gò Vấp, MT 12m, 5 NH 6,1x11,5m, Cn 49,9 m2, 11,9 tỷ TL
Giá: 11.9 Tỷ
Hướng: Đông Nam
Diện tích công nhận: 49.9m2
Diện tích sàn: m2
Đường trước nhà: 12m
Sổ hồng: Đăng Đầy Đủ
Ngày đăng: 05.12.2025
View: 438
Nhà hẻm 29/23 Lê Đức Thọ, Phường 7, Gò Vấp, Hẻm 12m thông, 4x18m, Cn 72 m2, trệt 2 lầu, 12,5 tỷ TL Lộc
Giá: 12.5 Tỷ
Hướng: Đông Bắc
Diện tích công nhận: 72m2
Diện tích sàn: 190m2
Đường trước nhà: 12m
Sổ hồng: Đăng Không Đủ
Ngày đăng: 21.10.2025
View: 414




