Chi tiết bài viết
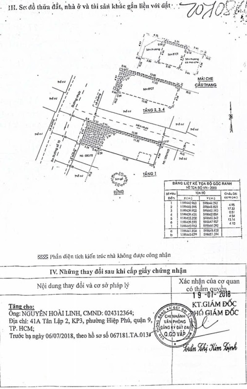
Nhà 2 MT hẻm 220/74 Nguyễn Văn Khối, Phường 9, Gò Vấp, Hẻm 10m thông, 5x18m, Cn 86,3 m2, trệt lửng 4 lầu, ST, 12,6 tỷ TL
Khu vực: Nguyễn Văn Khối, Phường 9, Quận Gò Vấp, TP Hồ Chí Minh
Thông tin chi tiết
Nhà 2 MT hẻm 220/74 Nguyễn Văn Khối, Phường 9, Gò Vấp, Hẻm 10m thông, 5x18m, Cn 86,3 m2, trệt lửng 4 lầu, ST, 12,6 tỷ TL
Tags từ khóa
Bản đồ
Tin thường
Bán nhà mặt hẻm
Tây Bắc
12.6 Tỷ
86.2 m2
258 m2
4
6
7
5m
10m
Đăng Không Đủ
Nguyễn Văn Khối, Phường 9, Quận Gò Vấp, TP Hồ Chí Minh
19/11/2025
31/12/2025
Hồng Khanh
Thống Nhất, P16, Gò Vấp
0906956946
0906956946
hongkhanh198429@gmail.com
Tin khác cùng loại (48)
Nhà 2 MT 435/24 Lê Văn Thọ, Phường 9, Gò Vấp, Hẻm 5m thông, 4x15,1m, Cn 60,4 m2, trệt 1 lầu 1 ST, 4PN, 3WC, 6,9 tỷ TL
Giá: 6.9 Tỷ
Hướng: Đông
Diện tích công nhận: 60m2
Diện tích sàn: 103m2
Đường trước nhà: 5m
Sổ hồng: Đăng Đầy Đủ
Ngày đăng: 26.03.2026
View: 31
Nhà hẻm 310/38 Phạm Văn Chiêu, Phường 9, Gò Vấp, Hẻm 6m thông, 4x26m, Cn 102,3 m2, Cấp 4, 8,9 tỷ TL
Giá: 8.9 Tỷ
Hướng: Đông Nam
Diện tích công nhận: 102.3m2
Diện tích sàn: m2
Đường trước nhà: 6m
Sổ hồng: Đăng Đầy Đủ
Ngày đăng: 22.03.2026
View: 60
Bán Chdv hẻm 100/82A Đường số 3, Phường Thông Tây Hội, Phường 9 cũ, Gò Vấp, Hẻm 6m thông, 4 NH 21x26m, Cn 349,2 m2, trệt lửng 5 lầu, ST, 70P Full nội thất, Thu nhập 300tr/tháng, 49,5 tỷ TL
Giá: 49.5 Tỷ
Hướng: Đông Bắc
Diện tích công nhận: 349m2
Diện tích sàn: 1316m2
Đường trước nhà: 6m
Sổ hồng: Đăng Không Đủ
Ngày đăng: 21.03.2026
View: 71
Nhà MT 82 Đường số 3, Phường 9, Gò Vấp, MT 6m, 6x6m, Cn 35,9 m2, Cấp 4 lửng, 2 căn, 5,26 tỷ TL
Giá: 5.26 Tỷ
Hướng: Tây Nam
Diện tích công nhận: 35.9m2
Diện tích sàn: m2
Đường trước nhà: 6m
Sổ hồng: Đăng Đầy Đủ
Ngày đăng: 21.03.2026
View: 64
Nhà hẻm 88/8 Đường số 9, Phường 9, Gò Vấp, Hẻm 4m thông, 4x12m, Cn 40 m2, trệt 1 lầu, 2PN, 2WC, 6,3 tỷ TL
Giá: 6.3 Tỷ
Hướng: Tây Bắc
Diện tích công nhận: 40m2
Diện tích sàn: 80m2
Đường trước nhà: 4m
Sổ hồng: Đăng Đầy Đủ
Ngày đăng: 15.03.2026
View: 90
Nhà hẻm 310/56A Phạm Văn Chiêu, Phường 9, Gò Vấp, Hẻm 6m thông, 4x30m, Cn 109,4 m2, trệt lửng 4 lầu, ST, 4PN, 7WC, 1P Xông Hơi, 1P Karaoke, 3 nhà bếp, HT Marthome, Full nội thất, 18,45 tỷ TL
Giá: 18.45 Tỷ
Hướng: Đông Nam
Diện tích công nhận: 109m2
Diện tích sàn: 406m2
Đường trước nhà: 6m
Sổ hồng: Đăng Không Đủ
Ngày đăng: 14.03.2026
View: 105
Nhà hẻm 198/3A Đường số 3, Phường 9, Gò Vấp, Hẻm 6m thông, 7,35x5,5m, Cn 40 m2, trệt lửng 3 lầu, ST, 1PT, 4PN, 5WC, Full nội thất, Thang máy, 10,9 tỷ TL
Giá: 10.9 Tỷ
Hướng: Đông Bắc
Diện tích công nhận: 40m2
Diện tích sàn: 196m2
Đường trước nhà: 6m
Sổ hồng: Đăng Không Đủ
Ngày đăng: 14.03.2026
View: 98
Nhà 2 MT hẻm 220/94 Nguyễn Văn Khối, Phường 9, Gò Vấp, Hẻm 12m thông, 4x20m, Cn 70,2 m2, trệt lửng 3 lầu, ST trước sau, 4PN, 5WC, 17 tỷ TL
Giá: 17 Tỷ
Hướng: Tây Bắc
Diện tích công nhận: 70.2m2
Diện tích sàn: 218m2
Đường trước nhà: 12m
Sổ hồng: Đăng Không Đủ
Ngày đăng: 07.03.2026
View: 1204
Nhà hẻm 310/4 Phạm Văn Chiêu, Phường 9, Gò Vấp, Hẻm 5m thông, 5x15m, Cn 70,9 m2, trệt lửng 3 lầu, ST, 4PN, 7WC, Phòng Karaoke, Phòng xông hơi, Phòng thờ, Phòng Spa, Full nội thất, 12,5 tỷ TL
Giá: 12.5 Tỷ
Hướng: Đông Nam
Diện tích công nhận: 70.9m2
Diện tích sàn: 270m2
Đường trước nhà: 5m
Sổ hồng: Đăng Đầy Đủ
Ngày đăng: 02.03.2026
View: 948
Tòa Nhà hẻm 380 Phạm Văn Chiêu, Phường 9, Gò Vấp, Hẻm 8m thông, 6x16m, Cn 95,6 m2, Hầm 6 lầu, ST, 22P Full nội thất, HT Pccc, Thu nhập khoán 1,1 tỷ/năm, 26 tỷ TL
Giá: 26 Tỷ
Hướng: Đông Bắc
Diện tích công nhận: 96m2
Diện tích sàn: 500m2
Đường trước nhà: 8m
Sổ hồng: Đăng Đầy Đủ
Ngày đăng: 01.03.2026
View: 1076





