Nhà đất bán Bán nhà mặt hẻm Có (222) tin đăng

Chi tiết bài viết

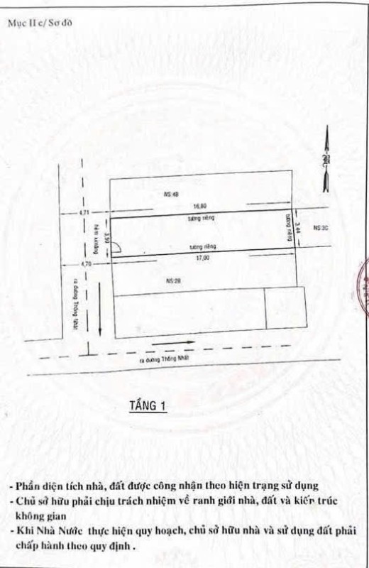
Nhà hẻm 294/40/31 Thống Nhất, Phường 11, Gò Vấp, Hẻm 5m thông, 3,5x17m, Cn 58,6 m2, Cấp 4, Gpxd lửng 2 lầu, ST, 5,55 tỷ TL

Khu vực: Thống Nhất, Phường 16, Quận Gò Vấp, TP Hồ Chí Minh

Giá: 5.55 Tỷ
Hướng nhà: Tây
Đường trước nhà: 5m
Sổ hồng: Đăng Đầy Đủ
Diện tích công nhận: 58.6m2
Diện tích sàn: 58.6m2
Xem Ảnh Thực

Thông tin chi tiết

Nhà hẻm 294/40/31 Thống Nhất, Phường 11, Gò Vấp, Hẻm 5m thông, 3,5x17m, Cn 58,6 m2, Cấp 4, Gpxd lửng 2 lầu, ST, 5,55 tỷ TL

Tags từ khóa

Bản đồ

Đặc điểm bất động sản

Tin thường

Bán nhà mặt hẻm

Tây

5.55 Tỷ

58.6 m2

58.6 m2

1

1

3.5m

5m

Đăng Đầy Đủ

Thống Nhất, Phường 16, Quận Gò Vấp, TP Hồ Chí Minh

03/02/2026

31/03/2026

Thông tin liên hệ

Hồng Khanh

Thống Nhất, P16, Gò Vấp

0906956946

0906956946

hongkhanh198429@gmail.com

Xem tin cùng người đăng (56)

Tin khác cùng loại (293)

Sắp xếp theo:
Nhà hẻm 467/26 Lê Đức Thọ, Phường 16, Gò Vấp, 4x20m, trệt lửng 3 lầu, 11,5 tỷ TL

Nhà hẻm 467/26 Lê Đức Thọ, Phường 16, Gò Vấp, 4x20m, trệt lửng 3 lầu, 11,5 tỷ TL

Giá: 11.5 Tỷ

Hướng: Đông Nam

Diện tích công nhận: 90m2

Diện tích sàn: 328m2

Đường trước nhà: 8m

Sổ hồng: Đăng Không Đủ

Quận/huyện: Quận Gò Vấp, TP Hồ Chí Minh
Loại tin: Tin VIP Kim Cương
Tin VIP Kim Cương

Ngày đăng: 22.11.2023

View: 2942

Khách Sạn MT 410 Lê Văn Thọ, Phường 16, Gò Vấp, MT 30m, 4x34m, Cn 99,6 m2, trệt 5 lầu, ST, 18PN, Thang máy, HT PCCC, Thu nhập 70tr/tháng, 17,5 tỷ TL

Khách Sạn MT 410 Lê Văn Thọ, Phường 16, Gò Vấp, MT 30m, 4x34m, Cn 99,6 m2, trệt 5 lầu, ST, 18PN, Thang máy, HT PCCC, Thu nhập 70tr/tháng, 17,5 tỷ TL

Giá: 17.5 Tỷ

Hướng: Tây Bắc

Diện tích công nhận: 99.6m2

Diện tích sàn: 510m2

Đường trước nhà: 20m

Sổ hồng: Đăng Không Đủ

Quận/huyện: Quận Gò Vấp, TP Hồ Chí Minh
Loại tin: Tin VIP Vàng
Tin VIP Vàng

Ngày đăng: 29.12.2024

View: 1968

Nhà hẻm 5m thích hợp mua đầu tư Lê Đức Thọ p16

Nhà hẻm 5m thích hợp mua đầu tư Lê Đức Thọ p16

Giá: 5,6 Tỷ

Hướng: Đông

Diện tích công nhận: 79.21m2

Diện tích sàn: 99,39m2

Đường trước nhà: 5m

Sổ hồng: Đăng Đầy Đủ

Quận/huyện: Quận Gò Vấp, TP Hồ Chí Minh
Loại tin: Tin VIP Vàng
Tin VIP Vàng

Ngày đăng: 17.09.2024

View: 2407

Nhà hẻm 631/44 Lê Đức Thọ, Phường 16, Gò Vấp, Hẻm 8m, 4,1x14m, trệt 3 lầu, ST, 4PN, 5WC, 5,9 tỷ TL

Nhà hẻm 631/44 Lê Đức Thọ, Phường 16, Gò Vấp, Hẻm 8m, 4,1x14m, trệt 3 lầu, ST, 4PN, 5WC, 5,9 tỷ TL

Giá: 5.9 Tỷ

Hướng: Đông Nam

Diện tích công nhận: 58m2

Diện tích sàn: 183m2

Đường trước nhà: 8m

Sổ hồng: Đăng Không Đủ

Quận/huyện: Quận Gò Vấp, TP Hồ Chí Minh
Loại tin: Tin VIP Vàng
Tin VIP Vàng

Ngày đăng: 25.06.2024

View: 2492

Nhà MT 78 Đường số 9, Phường 16, Gò Vấp, MT 8m, 3,3x10m, Cn 32,8 m2, trệt lửng lầu, 4,65 tỷ TL

Nhà MT 78 Đường số 9, Phường 16, Gò Vấp, MT 8m, 3,3x10m, Cn 32,8 m2, trệt lửng lầu, 4,65 tỷ TL

Giá: 4.65 Tỷ

Hướng: Đông Bắc

Diện tích công nhận: 32.8m2

Diện tích sàn: 75m2

Đường trước nhà: 8m

Sổ hồng: Đăng Đầy Đủ

Quận/huyện: Quận Gò Vấp, TP Hồ Chí Minh
Loại tin: Tin VIP Vàng
Tin VIP Vàng

Ngày đăng: 16.05.2024

View: 2154

Nhà 2 MT 1003 Lê Đức Thọ, Phường 16, Gò Vấp, MT 15m, 3,4x19,5m, Cấp 4, 13tr/tháng, 4,9 tỷ TL

Nhà 2 MT 1003 Lê Đức Thọ, Phường 16, Gò Vấp, MT 15m, 3,4x19,5m, Cấp 4, 13tr/tháng, 4,9 tỷ TL

Giá: 4.9 Tỷ

Hướng: Đông Bắc

Diện tích công nhận: 29.5m2

Diện tích sàn: 16.9m2

Đường trước nhà: 20m

Sổ hồng: Đăng Đầy Đủ

Quận/huyện: Quận Gò Vấp, TP Hồ Chí Minh
Loại tin: Tin VIP Vàng
Tin VIP Vàng

Ngày đăng: 13.12.2023

View: 2304

Đất hẻm 350/56/2 Nguyễn Văn Lượng, Phường 16, Gò Vấp, Hẻm 3,5m, 4,5x10,85m, Cn 48,4 m2, 4,85 tỷ TL

Đất hẻm 350/56/2 Nguyễn Văn Lượng, Phường 16, Gò Vấp, Hẻm 3,5m, 4,5x10,85m, Cn 48,4 m2, 4,85 tỷ TL

Giá: 4.85 Tỷ

Hướng: Đông Nam

Diện tích công nhận: 48.4m2

Diện tích sàn: m2

Đường trước nhà: 3.5m

Sổ hồng: Đăng Đầy Đủ

Quận/huyện: Quận Gò Vấp, TP Hồ Chí Minh
Loại tin: Tin VIP Bạc
Tin VIP Bạc

Ngày đăng: 25.10.2025

View: 1441

Nhà hẻm 276/113 Thống Nhất, Phường 16, Gò Vấp, Hẻm 5m thông, 4x15,3m, Cn 61,8 m2, trệt 4 lầu, ST, 4PN, 5WC, Thang máy, Full nội thất, 10,9 tỷ TL

Nhà hẻm 276/113 Thống Nhất, Phường 16, Gò Vấp, Hẻm 5m thông, 4x15,3m, Cn 61,8 m2, trệt 4 lầu, ST, 4PN, 5WC, Thang máy, Full nội thất, 10,9 tỷ TL

Giá: 10.9 Tỷ

Hướng: Đông

Diện tích công nhận: 62m2

Diện tích sàn: 121m2

Đường trước nhà: 5m

Sổ hồng: Đăng Đầy Đủ

Quận/huyện: Quận Gò Vấp, TP Hồ Chí Minh
Loại tin: Tin VIP Bạc
Tin VIP Bạc

Ngày đăng: 14.05.2025

View: 1611

Nhà đẹp hẻm 350// Nguyễn Văn Lượng P16 GV,  trệt 1 lầu, 2PN,2WC, Giá 5,48 tỷ TL

Nhà đẹp hẻm 350// Nguyễn Văn Lượng P16 GV, trệt 1 lầu, 2PN,2WC, Giá 5,48 tỷ TL

Giá: 5,48 Tỷ

Hướng: Đông

Diện tích công nhận: 55m2

Diện tích sàn: m2

Đường trước nhà: m

Sổ hồng: Không Đăng Sổ

Quận/huyện: Quận Gò Vấp, TP Hồ Chí Minh
Loại tin: Tin VIP Bạc
Tin VIP Bạc

Ngày đăng: 30.09.2024

View: 1867

Nhà MT 168 Đường số 2, Phường 16, Gò Vấp, MT 4m, 3,8 NH 5,8x18m, Cn 58,6 m2, trệt 2 lầu, ST, 3PN, 3WC, Nội thất, 7,9 tỷ TL

Nhà MT 168 Đường số 2, Phường 16, Gò Vấp, MT 4m, 3,8 NH 5,8x18m, Cn 58,6 m2, trệt 2 lầu, ST, 3PN, 3WC, Nội thất, 7,9 tỷ TL

Giá: 7.9 Tỷ

Hướng: Tây Bắc

Diện tích công nhận: 59m2

Diện tích sàn: 157m2

Đường trước nhà: 4m

Sổ hồng: Đăng Không Đủ

Quận/huyện: Quận Gò Vấp, TP Hồ Chí Minh
Loại tin: Tin VIP Bạc
Tin VIP Bạc

Ngày đăng: 25.09.2024

View: 1956

Tìm nâng cao
Có (22) tin mới trong ngày

Fanpage Facebook