Chi tiết bài viết
SIÊU PHẨM PHẠM VĂN ĐỒNG – BÁN ĐẤT TẶNG NHÀ, Ô TÔ ĐỖ CỬA– NGÕ THÔNG KINH DOANH – 33M2, 7.7 TỶ
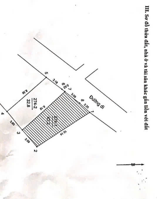
Khu vực: Đường Phạm Văn Đồng, Cổ Nhuế 2
Thông tin chi tiết
+ Vị trí đẹp, cách mặt phố 20m. Ô tô đỗ cửa, ngõ thông kinh doanh.
+ Nhà 2 tầng dân xây còn rất chắc chắn. Diện tích 33m2, MT 3.8m. Khách mua ở tạm hoặc xây mới để ở hay cho thuê đều tuyệt vời.
+ Sổ đẹp, chính chủ - Sẵn sàng giao dịch
+ LH ngay: 0989162591 – Thien Bđs, Chuyên thổ cư Hà Nội.
Tags từ khóa
Bản đồ
Tin Miễn Phí
Bán nhà mặt hẻm
Đông Tứ Trạch
7.7 Tỷ
33 m2
33 m2
2
2
2
3.8m
5m
Đăng Đầy Đủ
Đường Phạm Văn Đồng, Cổ Nhuế 2
09/12/2025
08/01/2026
Trong Thien
Cầu Giấy Hà Nội
0985731618
nguyentrongthien.itdr@gmail.com
Tin khác cùng loại (64)
Chính chủ bán nhà mặt phố Shophouse khu đô thị Thành Phố Giao Lưu. 128m2 căn góc giá 49,8 tỷ
Giá: 49.8 Tỷ
Hướng: Đông Tứ Trạch
Diện tích công nhận: 128m2
Diện tích sàn: 128m2
Đường trước nhà: 40m
Sổ hồng: Không Đăng Sổ
Ngày đăng: 14.06.2023
View: 463
Bán biệt thự khu đô thị mới Thành Phố Giao Lưu, DT 438m2, mt 25m hai mặt tiền
Giá: 105 Tỷ
Hướng: Đông Tứ Trạch
Diện tích công nhận: 438m2
Diện tích sàn: 438m2
Đường trước nhà: 40m
Sổ hồng: Không Đăng Sổ
Ngày đăng: 14.06.2023
View: 676
Chính chủ bán nhà mặt phố Shophouse khu đô thị Thành Phố Giao Lưu. 128m2 căn góc
Giá: 49.8 Tỷ
Hướng: Đông Tứ Trạch
Diện tích công nhận: 128m2
Diện tích sàn: 128m2
Đường trước nhà: 40m
Sổ hồng: Không Đăng Sổ
Ngày đăng: 02.06.2023
View: 539
Bán nhà Cổ Nhuế, Bắc Từ Liêm, 40m2, 5 tầng, giá 3.9 tỷ, lô góc, 6 ngủ, kinh doanh
Giá: 3.9 Tỷ
Hướng: Đông Tứ Trạch
Diện tích công nhận: 40m2
Diện tích sàn: 40m2
Đường trước nhà: 3m
Sổ hồng: Không Đăng Sổ
Ngày đăng: 21.02.2023
View: 436
Bán nhà mặt đường Phạm Văn Đồng, Bắc Từ Liêm, 30m2, giá 5.2 tỷ, 0345752279
Giá: 5.2 Tỷ
Hướng: Đông Tứ Trạch
Diện tích công nhận: 30m2
Diện tích sàn: 30m2
Đường trước nhà: 50m
Sổ hồng: Không Đăng Sổ
Ngày đăng: 15.02.2023
View: 530
Bán nhà Cổ Nhuế, Bắc Từ Liêm, ô tô đỗ cửa, 36m2, 4 tầng, giá 3.4 tỷ, 0345752279
Giá: 3.4 Tỷ
Hướng: Đông Tứ Trạch
Diện tích công nhận: 36m2
Diện tích sàn: 36m2
Đường trước nhà: 3.5m
Sổ hồng: Không Đăng Sổ
Ngày đăng: 11.02.2023
View: 487
- Bán nhà 104 Cổ Nhuế diện tích 38m2, 3 tầng, mặt tiền 3,5m, 1.8 tỷ LH 0886585789
Giá: 1.8 Tỷ
Hướng: Đông Tứ Trạch
Diện tích công nhận: 38m2
Diện tích sàn: 38m2
Đường trước nhà: 5m
Sổ hồng: Không Đăng Sổ
Ngày đăng: 05.02.2023
View: 447
- Bán nhà 104 Cổ Nhuế diện tích 38m2, 3 tầng, mặt tiền 3,5m, 1.8 tỷ LH 0886585789
Giá: 1.8 Tỷ
Hướng: Đông Tứ Trạch
Diện tích công nhận: 38m2
Diện tích sàn: 38m2
Đường trước nhà: 5m
Sổ hồng: Không Đăng Sổ
Ngày đăng: 05.02.2023
View: 451
Bán nhà Phố Viên, Cổ Nhuế, Bắc Từ Liêm, 46m2, giá 3.55 tỷ, 0345752279
Giá: 3.55 Tỷ
Hướng: Đông Tứ Trạch
Diện tích công nhận: 46m2
Diện tích sàn: 46m2
Đường trước nhà: 2.5m
Sổ hồng: Không Đăng Sổ
Ngày đăng: 04.02.2023
View: 509
Bán nhà Cổ Nhuế, Bắc Từ Liêm, 35m2, 6 tầng, giá 3.6 tỷ. 0345752279
Giá: 3.6 Tỷ
Hướng: Đông Tứ Trạch
Diện tích công nhận: 35m2
Diện tích sàn: 35m2
Đường trước nhà: 3m
Sổ hồng: Không Đăng Sổ
Ngày đăng: 02.02.2023
View: 515


